Prime 18 Acres of Development Land for Sale in Hanover, Jamaica

  • US$ 399,000

Overview

Property ID: 80901
  • Development Land (Residential)
  • Property Type

Description

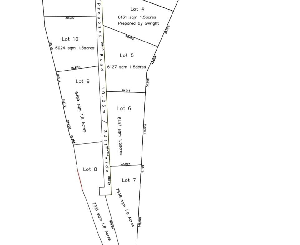
Exceptional Development Land in Hanover

Seize a remarkable opportunity to acquire over 18 acres of prime real estate in the peaceful parish of Hanover, renowned for its serene ambiance and breathtaking beaches. This expansive parcel of land, measuring 18.2465 acres, boasts stunning ocean views that create an idyllic backdrop for your vision, whether it be a luxurious private enclave, a resort, or a vibrant residential community.

Envision a place where every home captures the essence of Caribbean living, with panoramic vistas of the sparkling sea. The property is nestled in a tranquil area, offering a harmonious blend of seclusion and accessibility, making it an ideal setting for those seeking a coveted lifestyle in one of Jamaica’s most picturesque regions.

Located at Winchester Estates in the beautiful state of Hanover, this development land is currently available for sale and presents an incredible opportunity for investors and developers alike. With its generous size and prime location, the possibilities are endless. This is not just land; it’s a canvas for your dreams in a location that promises both beauty and tranquility.

  • Address: Winchester Estates
  • State/county: Hanover
  • Zip/Postal Code: 00000
  • Area: Green Island
  • Country: Jamaica

Details

Updated on January 22, 2026 at 2:32 pm
  • Property ID 80901
  • Price US$ 399,000
  • Land Area 18.2465 Acres
  • Property Type Development Land (Residential)
  • Property Status For Sale
  • Agency Property Solutions Ltd

Additional details

  • Lot/Acres 18.2465
  • Type Lots/Acreage

Mortgage Calculator

Walkscore

Contact Information

View Listings
Thalia Hugh-brown

Enquire About This Property

Similar Listings

The information provided on NewLocay is for general informational purposes only. All property listings, descriptions, and details are provided by third-party agencies and agents or pulled from their platforms. NewLocay makes no representations or warranties of any kind, express or implied, about the accuracy, completeness, reliability, suitability, or availability with respect to the property listings or related services. Any reliance you place on such information is strictly at your own risk.NewLocay is not responsible for the actions or representations of the agents and agencies listing properties on this platform. We recommend verifying all property details and conducting appropriate due diligence before making any decisions or transactions.By using this website, you agree that NewLocay will not be liable for any loss or damage arising from the use of the information on this site.

Compare listings

Compare