Residential Lot for Sale in Godden Grove, Manchester – Ideal for Investment
- J$ 5,700,000
Residential Lot for Sale in Godden Grove, Manchester – Ideal for Investment
- J$ 5,700,000
Overview
- Residential Lot
Description
Welcome to Godden Grove
Introducing Godden Grove, an exciting new community nestled in the refreshing hills of Manchester. This charming neighborhood is conveniently situated right along the main road, providing residents with seamless access to transportation routes leading to Mandeville and its surrounding areas.
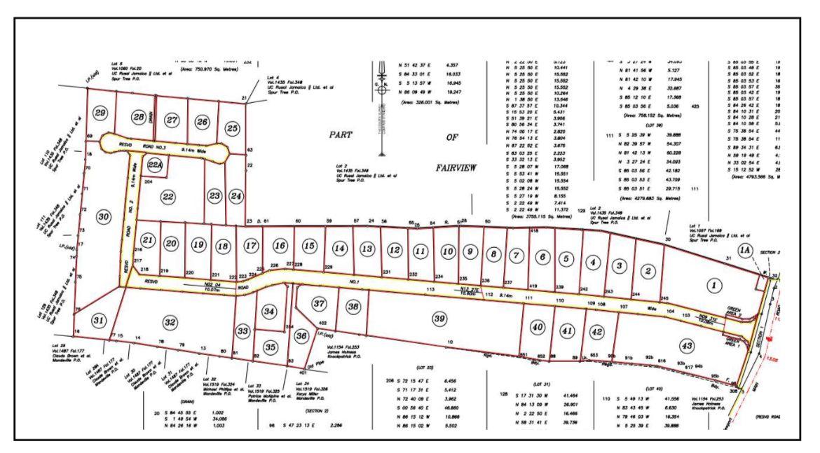
The proximity of the University makes this location particularly appealing, catering to students, educators, and professionals alike. Lot 11 presents a fantastic investment opportunity, approved under DV/1794 in August 2022.
Located at 11 Godden Grove in the beautiful parish of Manchester, Jamaica, this residential lot spans an impressive 0.1853 acres. It is currently available for sale and offers a unique chance to become part of a vibrant community in a serene setting.
With its ideal location and potential for growth, Godden Grove is poised to be a desirable destination for those looking to invest in a promising residential lot.
Address
Open on Google Maps- Address: 11 Godden Grove
- State/county: Manchester
- Zip/Postal Code: 00000
- Area: Knockpatrick
- Country: Jamaica
Details
Updated on June 1, 2025 at 10:27 am- Property ID 65516
- Price J$ 5,700,000
- Land Area 0.1853 Acres
- Property Type Residential Lot
- Property Status For Sale
- Agency Coldwell Banker Jamaica Realty
Additional details
- Lot/Acres 0.1853
- Type Lots/Acreage
Mortgage Calculator
- Down Payment
- Loan Amount
- Monthly Mortgage Payment
- Property Tax
