Overview
- Residential Lot
Description
Stunning Residential Lot in a New Development
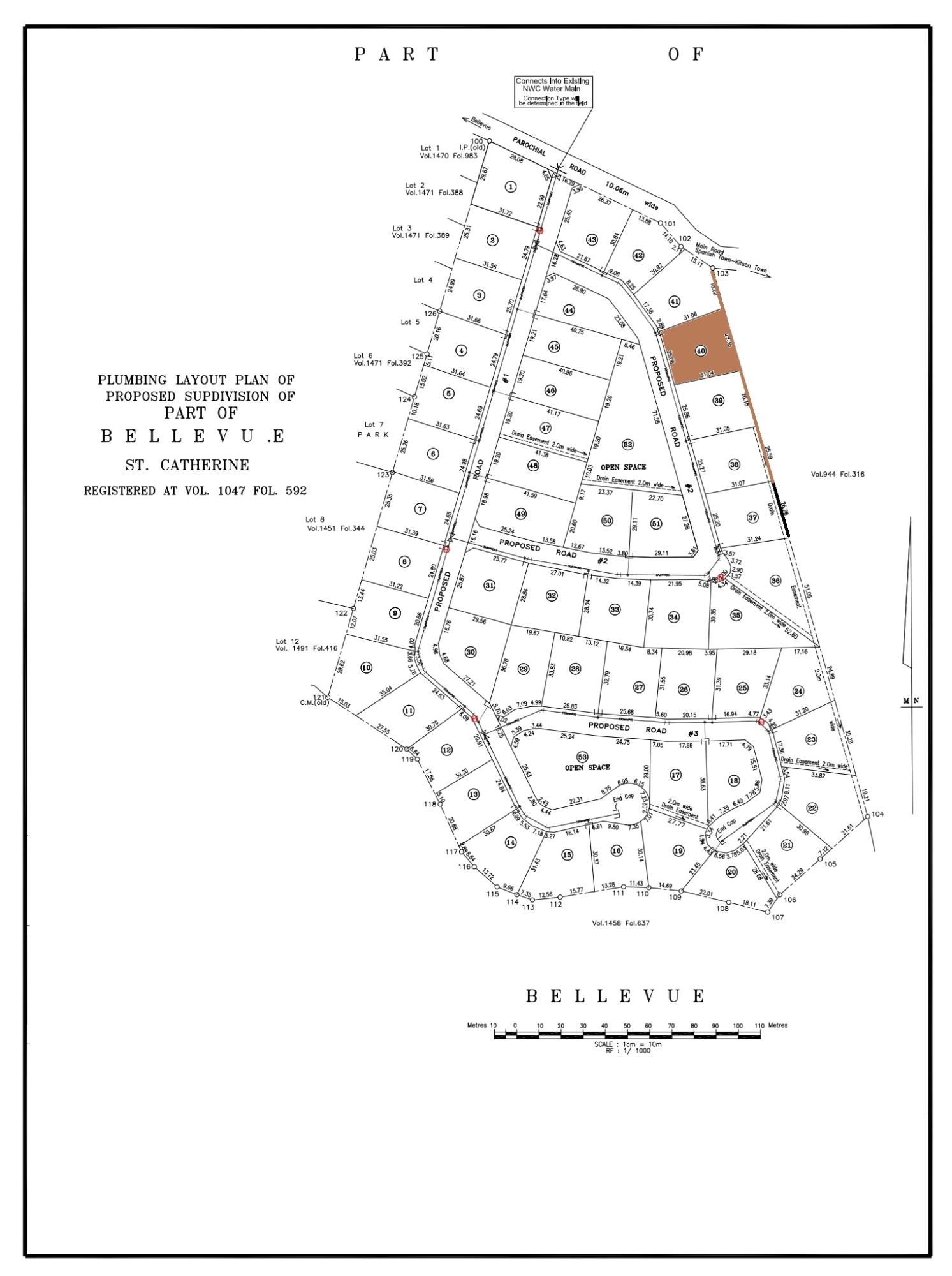
Discover a remarkable opportunity to own a residential lot nestled within a semi-gated community, offering breathtaking views of the sea and the picturesque plains of St. Catherine. This prime property, located at Lot 40 Bellevue Heights in Jamaica, spans an impressive 9,060 square feet, or approximately 0.208 acres, providing ample space for your dream home.
Situated in the beautiful parish of St. Catherine, this lot is part of a vibrant new development that promises both tranquility and a sense of community. The stunning vistas surrounding the property create a serene atmosphere, perfect for those seeking a peaceful retreat while still being in proximity to local amenities and attractions.
This residential lot is currently available for sale, making it an ideal investment for anyone looking to build their perfect home in a desirable location. With its generous size and exceptional views, this property presents an unparalleled opportunity to create a living space that truly reflects your lifestyle and aspirations.
Address
Open on Google Maps- Address: Lot 40 Bellevue Heights
- State/county: St. Catherine
- Zip/Postal Code: 00000
- Area: Bellevue Heights
- Country: Jamaica
Details
Updated on January 3, 2026 at 1:19 pm- Property ID 79599
- Price J$ 9,000,000
- Land Area 0.208 Acres
- Property Type Residential Lot
- Property Status For Sale
- Agency Rci Realty Plus 1
Additional details
- Lot/Acres 0.208
- Type Lots/Acreage
Mortgage Calculator
- Down Payment
- Loan Amount
- Monthly Mortgage Payment
- Property Tax


















